☰ Menu Prawe Menu ☰
Gmina Ełk - tu mieszkam

Poniedziałek 11.07.2022

A A A A
A A+ A++
zaawansowane

Uchwały - 2004 r.

UCHWAŁY RADY GMINY EŁK

2004 r.

Uchwała Nr XXV/231/2004 z dnia 28 grudnia 2004 r. w sprawie ustalenia wykazu wydatków, które nie wygasają wraz z upływem roku budżetowego

Uchwała Nr XXV/230/2004 z dnia 28 grudnia 2004 r. w sprawie sprzedaży nieruchomości

Uchwała Nr XXV/229/2004 z dnia 28 grudnia 2004 r. zmieniająca Uchwałę Nr VII/44/2003 Rady Gminy Ełk z dnia 29 kwietnia 2003 r. w sprawie gospodarowania nieruchomościami stanowiącymi własność gminy Ełk

Uchwała Nr XXV/228/2004 z dnia 28 grudnia 2004 r. zmieniająca Uchwałę Nr XX/170/2004 Rady Gminy Ełk z dnia 01 lipca 2004 r. w sprawie sprzedaży nieruchomości gruntowych

Uchwała Nr XXV/227/2004 z dnia 28 grudnia 2004 r. w sprawie uchwalenia miejscowego planu zagospodarowania przestrzennego dla części wsi Chruściele obejmującego grunty o numerach ewidencyjnych od 105/7 do 105/12

Uchwała Nr XXV/226/2004 z dnia 28 grudnia 2004 r. w sprawie uchwalenia miejscowego planu zagospodarowania przestrzennego terenu położonego w wsi Regiel, Gmina Ełk, obejmującego działkę oznaczoną nr 9/1

Uchwała Nr XXV/225/2004 z dnia 28 grudnia 2004 r. w sprawie przystąpienia do sporządzenia miejscowego planu zagospodarowania przestrzennego terenu obejmującego działkę nr 59 położoną w obrębie Małkinie, Gmina Ełk

Uchwała Nr XXV/224/2004 z dnia 28 grudnia 2004 r. w sprawie przystąpienia do sporządzenia miejscowego planu zagospodarowania przestrzennego terenu położonego w obrębie Małkinie, Gmina Ełk, obejmującego działkę nr 29/38 powstałą w wyniku podziału działki nr 29/36

Uchwała Nr XXV/223/2004 z dnia 28 grudnia 2004 r. w sprawie przystąpienia do sporządzenia miejscowego planu zagospodarowania przestrzennego terenu położonego w obrębie Barany, Gmina Ełk obejmującego działki o nr geod. 173/1, 173/8, 173/7, 173/6, 173/5

Uchwała Nr XXV/222/2004 z dnia 28 grudnia 2004 r. w sprawie określenia szczegółowych warunków przyznawania i odpłatności za usługi opiekuńcze i specjalistyczne usługi opiekuńcze z wyłączeniem specjalistycznych usług opiekuńczych dla osób z zaburzeniami psychicznymi oraz warunków częściowego lub całkowitego zwolnienia od płatności jak również trybu ich pobierania

Uchwała Nr XXV/221/2004 z dnia 28 grudnia 2004 r. w sprawie zasad zwrotu wydatków przeznaczonych w ramach zadań własnych gminy na dożywianie uczniów szkół podstawowych i gimnazjów oraz innych osób, którym posiłek przyznano

Uchwała Nr XXV/220/2004 z dnia 28 grudnia 2004 r. w sprawie zasad zwrotu wydatków na świadczenia z pomocy społecznej przyznanej w formie zasiłku celowego, okresowego lub pomocy rzeczowej będących w zakresie zadań własnych gminy

Uchwała nr XXV/219/2004 z dnia 28 grudnia 2004 r. w sprawie zmian w budżecie Gminy Ełk na 2004 rok

Uchwała Nr XXV/218/2004 z dnia 28 grudnia 2004 r. w sprawie budżetu Gminy Ełk na rok 2005

Uchwała nr XXIV/217/2004 z dnia 23 listopada 2004 r. w sprawie zmian w budżecie Gminy Ełk na 2004 rok

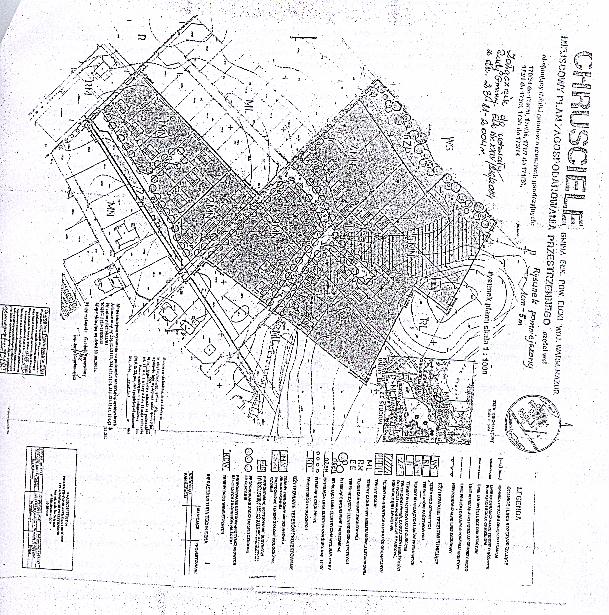
Uchwała Nr XXIV/216/2004 z dnia  23 listopada 2004 r. w sprawie uchwalenia zmiany w miejscowym planie zagospodarowania przestrzennego we wsi Chruściele

Uchwała Nr XXIV/215/2004 z dnia  23 listopada 2004 r. w sprawie wysokości opłaty targowej

Uchwała Nr XXIV/214/2004 z dnia  23 listopada 2004 r. w sprawie wysokości opłaty miejscowej

Uchwała Nr XXIV/213/2004 z dnia  23 listopada 2004 r. w sprawie ustalenia stawek podatku od posiadania psów

Uchwała Nr XXIV/212/2004 z dnia  23 listopada 2004 r. w sprawie wysokości stawek podatku od nieruchomości

Uchwała Nr XXIV/211/2004 z dnia  23 listopada 2004 r. w sprawie obniżenia średniej ceny skupu żyta za pierwsze trzy kwartały 2004 roku.

Uchwała Nr XXIII/210/2004 z dnia  28 października 2004 r. w sprawie wyrażenia woli zawarcia porozumienia ze Powiatem Ełk, z Miastem Ełk oraz Gminą, Stare Juchy dotyczącej realizacji niektórych zadań publicznych w sprawie organizowania nauki religii

Uchwała Nr XXIII/209/2004 z dnia  28 października 2004 r. w sprawie zmian w budżecie Gminy Ełk na 2004 rok

Uchwała Nr XXIII/208/2004 z dnia 28 października 2004 r. w sprawie uchwalenia miejscowego planu zagospodarowania przestrzennego terenu położonego we wsi Chrzanowo, Gmina Ełk, obejmującego działki oznaczone nr 55/12, 55/13, 55/15, 55/17, 55/18, 55/19, 55/20, 55/21, 55/22 i 55/23.

Uchwała Nr XXIII/207/2004 z dnia 28 października 2004 r. w sprawie przystąpienia do sporzadzenia miejscowego planu zagopsodarowania przestrzennego obejmującego grunt o nr geod. 155 położony w obrębie geodezyjnym wsi Barany, Gmina Ełk.

Uchwała Nr XXIII/206/2004 z dnia 28 października 2004 r. w sprawie przystąpienia do sporzadzenia miejscowego planu zagopsodarowania przestrzennego obejmującego grunt o nr geod. 156, 160/3, 168, 153, 167, 169 położony w obrębie geodezyjnym wsi Barany, Gmina Ełk.

Uchwała Nr XXIII/205/2004 z dnia 28 października 2004 r. w sprawie ustalenia nazwy ulicy w części wsi Płociczno, Gmina Ełk

Uchwała Nr XXIII/204/2004 z dnia 28 października 2004 r. w sprawie ustalenia nazw ulic w części wsi Sajzy, Gmina Ełk

Uchwała Nr XXIII/203/2004 z dnia 28 października 2004 r. zmieniająca Uchwałę Nr XXI/179/2004 Rady Gminy Ełk z dnia 26 sierpnia 2004 r. w sprawie nieodpłatnego nabycia nieruchomości

Uchwała Nr XXIII/202/2004 z dnia 28 października 2004 r. w sprawie obniżenia ceny sprzedaży nieruchomości

Uchwała Nr XXIII/201/2004 z dnia 28 października 2004 r. w sprawie sprzedaży nieruchomości  gruntowych

Uchwała nr XXII/200/2004 z dnia  01 października 2004 r. w sprawie zmiany studium uwarunkowań i kierunków zagospodarowania przestrzennego Gminy Ełk

Uchwała nr XXII/199/2004 z dnia  01 października 2004 r. w sprawie uchwalenia miejscowego planu zagospodarowania przestrzennego terenu położonego we wsi Miluki, Gminy Ełk, obejmującego działkę oznaczoną nr 2

Uchwała nr XXII/198/2004 z dnia  01 października 2004 r. w sprawie przystąpienia do sporządzenia miejscowego planu zagospodarowania przestrzennego terenu w obrębie wsi Straduny obejmującego grunty o numerze geodezyjnym 156/4, 156/3

Uchwała nr XXII/197/2004 z dnia  01 października 2004 r. w sprawie zamiany nieruchomości  gruntowych

Uchwała nr XXII/196/2004 z dnia  01 października 2004 r. w sprawie nieodpłatnego nabycia nieruchomości

Uchwała nr XXII/195/2004 z dnia  01 października 2004 r. w sprawie zmian w budżecie Gminy Ełk na 2004 rok

Uchwała Nr XXII/194/2004 z dnia 01 października 2004 r. w sprawie ustalenia wysokości stawek opłat za zajęcie pasa drogowego

Uchwała Nr XXI/193/2004 z dnia 26 sierpnia 2004 r. w sprawie powołania Skarbnika Gminy Ełk

Uchwała Nr XXI/192/2004 z dnia 26 sierpnia 2004 r. w sprawie odwołania Skarbnika Gminy Ełk

Uchwała Nr XXI/191/2004 z dnia 26 sierpnia 2004 r. w sprawie wyrażenia woli zawarcia porozumienia ze Starostwem Ełk, z Miastem Ełk oraz Gminami: Stare Juchy, Kalinowo i Prostki dotyczącej realizacji niektórych zadań publicznych z zakresu ochrony zabytków i opieki nad zabytkami

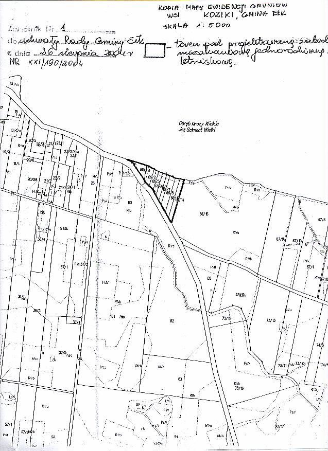
Uchwała Nr XXI/190/2004 z dnia 26 sierpnia 2004 r. w sprawie przystąpienia do zmiany "Studium uwarunkowań i kierunków zagospodarowania przestrzennego gminy Ełk" terenu położonego we wsi Koziki, Gmina Ełk, obejmującego grunty oznaczone numerami geodezyjnymi 66/1, 66/2, 66/3, 66/4, 66/6, 66/8, 66/10, 66/14.

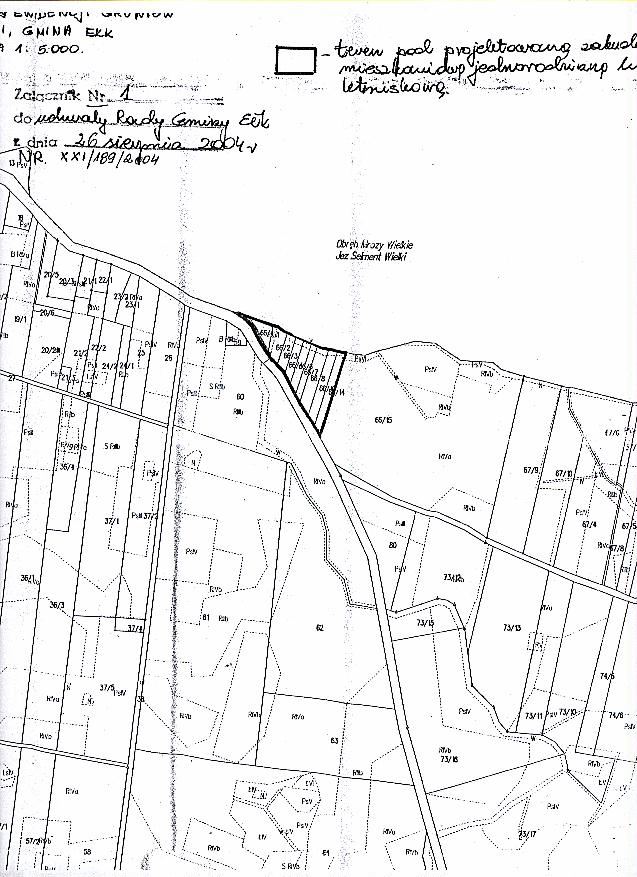
Uchwała Nr XXI/189/2004 z dnia 26 sierpnia 2004 r. w sprawie przystąpienia do sporządzenia miejscowego planu zagospodarowania przestrzennego dla terenu położonego we wsi Koziki, Gmina Ełk, obejmującego grunty oznaczone numerami geodezyjnymi 66/1, 66/2, 66/3, 66/4, 66/6, 66/8, 66/10, 66/14.

Uchwała Nr XXI/188/2004 z dnia 26 sierpnia 2004 r. w sprawie zmiany miejscowego planu zagospodarowania przestrzennego części wsi Sajzy, Gmina Ełk obejmującego grunty o nr geod. 5/1, 6/1 do 6/37, 6/41, 10, 12/1, 12/2, 14 do 17, 18/3 i 18,18/4

Uchwała Nr XXI/187/2004 z dnia 26 sierpnia 2004 r. w sprawie przystąpienia do zmiany "Studium uwarunkowań i kierunków zagospodarowania przestrzennego gminy Ełk" terenu położonego we wsi Zdedy, Gmina Ełk, obejmującego działkę oznaczoną numerem 82/1

Uchwała Nr XXI/186/2004 z dnia 26 sierpnia 2004 r. w sprawie przystąpienia do sporządzenia miejscowego planu zagospodarowania przestrzennego dla terenu położonego we wsi  Zdedy, Gmina Ełk, obejmującego grunt o nr geod. 82/1

Uchwała Nr XXI/185/2004 z dnia 26 sierpnia 2004 r. w sprawie przystąpienia do sporządzenia dwóch miejscowych planów zagospodarowania przestrzennego obejmującego istniejące składowisko odpadów wraz z przyległymi do niego gruntami w promieniu 300m we wsi Siedliska, oraz dla całego pozostałego obrębu geodezyjnego wsi Siedliska, Gmina Ełk

Uchwała Nr XXI/184/2004 z dnia 26 sierpnia 2004 r. w sprawie przystąpienia do zmiany "Studium uwarunkowań i kierunków zagospodarowania przestrzennego gminy Ełk" terenu położonego we wsi Bajtkowo, Gmina Ełk, obejmującego grunty oznaczone numerami geodezyjnymi 27/2, 27/3, 27/5, 27/8, 28/1, 29/4, 29/5, 29/7, 29/9, 29/10, 29/11, 29/12, 29/13, 29/14

Uchwała Nr XXI/183/2004 z dnia 26 sierpnia 2004 r. w sprawie przystąpienia do sporządzenia miejscowego planu zagospodarowania przestrzennego dla terenu położonego we wsi  Bajtkowo, Gmina Ełk, obejmującego grunty oznaczone numerami geodezyjnymi 27/2, 27/3, 27/5, 27/8, 28/1, 29/4, 29/5, 29/7, 29/9, 29/10, 29/11, 29/12, 29/13, 29/14

Uchwała Nr XXI/182/2004 z dnia 26 sierpnia 2004 r. w sprawie ustalenia nazwy ulicy w części wsi Mrozy Wielkie, Gmina Ełk

Uchwała Nr XXI/181/2004 z dnia 26 sierpnia 2004 r. w sprawie sprzedaży nieruchomości  gruntowych

Uchwała Nr XXI/180/2004 z dnia 26 sierpnia 2004 r. w sprawie nieodpłatnego nabycia nieruchomości

Uchwała Nr XXI/179/2004 z dnia 26 sierpnia 2004 r. w sprawie nieodpłatnego nabycia nieruchomości

Uchwała Nr XXI/178/2004 z dnia 26 sierpnia 2004 r. w sprawie weksla "in blanco"

Uchwała nr XXI/177/2004 z dnia  26 sierpnia 2004 r. w sprawie zmian w budżecie Gminy Ełk na 2004 rok

Uchwała nr XXI/176/2004 z dnia  26 sierpnia 2004 r. w sprawie nadaniu statutu Gminnemu Ośrodkowi Pomocy Społecznej w Ełku

Uchwała nr XXI/175/2004 z dnia  26 sierpnia 2004 r. w sprawie przystąpienia do porozumień z Powiatem Ełckim i partycypowania w kosztach finansowania dróg na terenie gminy

Uchwała nr XX/174/2004 z dnia 01 lipca 2004 r. w sprawie zmian w budżecie Gminy Ełk na 2004 rok

Uchwała nr XX/173/2004 z dnia 01 lipca 2004 r. w sprawie ustalenia dopłat za wodę pobraną z wodociągów wiejskich na terenie Gminy Ełk

Uchwała nr XX/172/2004 z dnia 01 lipca 2004 r. w sprawie ustalenia nazwy terenu letniskowego oraz nadania nazw ulic w części wsi Woszczele Gmina Ełk

Uchwała nr XX/171/2004 z dnia 01 lipca 2004 r. zmieniająca Uchwałę nr VII/44/2003 Rady Gminy Ełk z dnia 29 kwietnia 2003 r. w sprawie gospodarowania nieruchomościami stanowiącymi własność gminy Ełk

Uchwała nr XX/170/2004 z dnia 01 lipca 2004 r. w sprawie sprzedaży nieruchmości gruntowej

Uchwała nr XX/169/2004 z dnia 01 lipca 2004 r. w sprawie przyjęcia Planu Rozwoju Lokalnego Gminy Ełk (Załącznik do wglądu w Urzędzie Gminy w Ełku)

Uchwała Nr XIX/168/2004 z dnia 27 maja 2004 r. w sprawie sprzedaży nieruchmości gruntowej

Uchwała Nr XIX/167/2004 z dnia 27 maja 2004 r. w sprawie sprzedaży nieruchmości gruntowej

Uchwała Nr XIX/166/2004 z dnia 27 maja 2004 r. w sprawie sprzedaży nieruchmości

Uchwała Nr XIX/165/2004 z dnia 27 maja 2004 r. w sprawie powołania doraźnej Komisji Rozwoju Lokalnego Gminy Ełk

Uchwała Nr XIX/164/2004 z dnia 27 maja 2004 r. w sprawie przystąpienia do sporządzenia Planu Rozwoju Lokalnego Gminy Ełk

Uchwała Nr XIX/163/2004 z dnia 27 maja 2004 r. w sprawie zmian w budżecie Gminy Ełk na 2004 rok

Uchwała Nr XIX/162/2004 z dnia 27 maja 2004 r. w sprawie zaciągnięcia kredytu ze środków Fundacji "Europejski Fundusz Rozwoju Wsi Polskiej"

Uchwała Nr XIX/161/2004 z dnia 27 maja 2004 r. w sprawie zaciągnięcia zobowiązań na realizację zadania inwestycyjnego pod nazwą:"Budowa sali sportowej w Zespole Szkół Samorządowych w Stradunach"

Uchwała Nr XIX/160/2004 z dnia 27 maja 2004 r. w sprawie przystąpienia do sporządzenia zmiany miejscowego planu zagospodarowania przestrzennego dla terenu położonego we wsi Regiel, Gmina Ełk, Obejmującego grunt o nr geod. 9/1

Uchwała Nr XIX/159/2004 z dnia 27 maja 2004 r. w sprawie przystąpienia do sporządzenia zmiany miejscowego planu zagospodarowania przestrzennego dla terenu położonego we wsi Bartosze, Gmina Ełk, Obejmującego grunty o nr geod. 42/38, 42/45, 42/40, 42/41, 42/42, 42/43, 42/44, 39/2, 39/3, 38/1

Uchwała Nr XVIII/158/2004 z dnia 27 kwietnia 2004 r. w sprawie wyboru ławników do Sądu Rejonowego w Ełku w wyborach  uzupełniających do orzekania z zakresu prawa pracy i ubezpieczeń społecznych w kadencji 2004 - 2007

Uchwała Nr XVIII/157/2004 z dnia 27 kwietnia 2004 r. w sprawie udzielenia bonifikaty od ceny sprzedaży nieruchomości

Uchwała Nr XVIII/156/2004 z dnia 27 kwietnia 2004 r. w sprawie zatwierdzenia  rocznego planu pracy Komisji Rewizyjnej na 2004 rok

Uchwała Nr XVIII/155/2004 z dnia 27 kwietnia 2004 r. w sprawie zawarcia porozumienia dotyczącego prowadzenia w roku 2004 zadań z zakresu administracji rządowej dotyczących utrzymania grobów i cmentarzy wojennych znajdujących się na terenie gminy Ełk

Uchwała Nr XVIII/154/2004 z dnia 27 kwietnia 2004 r. w sprawie zwolnień od podatku od nieruchomości dla przedsiębiorców realizujących nowe inwestycje

Uchwała Nr XVIII/153/2004 z dnia 27 kwietnia 2004 r. w sprawie sprzedaży nieruchomości

Uchwała Nr XVIII/152/2004 z dnia 27 kwietnia 2004 r. w sprawie udzielenia absolutorium dla Wójta Gminy Ełk

Uchwała Nr XVII/151/2004 z dnia 29 marca 2004 r. w sprawie przystąpienia do zmiany "Studium uwarunkowań i kierunków zagospodarowania przestrzennego" gminy Ełk, w obszarze terenu objętego miejscowym planem zagospodarowania przestrzennego pn. "Podgrodzie"

Uchwała Nr XVII/150/2004 z dnia 29 marca 2004 r. w sprawie przystąpienia do zmiany w miejscowym planie zagospoadrowania przetrzennego pn. "Podgrodzie" k/Ełku

Uchwała Nr XVII/149/2004 z dnia 29 marca 2004 r. w sprawie przystąpienia do sporządzenia miejscowego planu zagospodarowania przestrzennego dla terenu położonego we wsi Chruściele, obejmującego działki o numerach geodezyjnych: 1/2, 3/3 oraz 3/4.

Uchwała Nr XVII/148/2004 z dnia 29 marca 2004 r. w sprawie uchwalenia programu współpracy w 2004 r. Gminy Ełk z organizacjami pozarządowymi oraz innymi podmiotami prowadzącymi działalność pożytku publicznego

Uchwała Nr XVII/147/2004 z dnia 29 marca 2004 r. w sprawie przystąpienia do porozumień z Gminą Miasto Ełk i partycypowania w kosztach utrzymania Punktów Konsultacyjnych

Uchwała Nr XVII/146/2004 z dnia 29 marca 2004 r. w sprawie wyboru banku do obsługi budżetu Gminy Ełk

Uchwała Nr XVII/145/2004 z dnia 29 marca 2004 r. w sprawie zmian w budżecie Gminy Ełk na 2004 rok

Uchwała Nr XVII/144/2004 z dnia 29 marca 2004 r. w sprawie powołania zespołu do przedstawienia opinii o zgłoszonych kandydatów na ławników w wyborach uzupełniających do Wydziału Pracy

Uchwała Nr XVI/143/2004 z dnia 26 lutego 2004 r. w sprawie zlecenia "Stowarzyszeniu Pomocy Humanitarnej im. Św. Łazarza z siedzibą w Ełku" zadań z zakresu pomocy społecznej dla osób starszych i chorych z terenu Gminy Ełk oraz przyznania na ten cel środków finansowych.

Uchwała Nr XVI/142/2004 z dnia 26 lutego 2004 r. w sprawie określenia trybu postępowania o udzielenie dotacji z budżetu gminy podmiotom nie zaliczanym do sektora finansów publicznych i nie działających w celu osiągnięcia zysku oraz sposobu jej rozliczania i kontroli wykonania zleconego zadania.

Uchwała Nr XVI/141/2004 z dnia 26 lutego 2004 r. w sprawie skargi wniesionej przez Pana Zbigniewa Wołka w sprawie odwołania i wyboru  nowego sołtysa przed upływem kadencji w sołectwie Siedliska

Uchwała Nr XVI/140/2004 z dnia 26 lutego 2004 r. w sprawie zarządzenia przeprowadzenia wyborów do organów wykonawczych w sołectwie Przytuły - Rydzewo

Uchwała Nr XVI/139/2004 z dnia 26 lutego 2004 r. w sprawie przyjęcia Gminnego Programu Profilaktyki i Rozwiązywania Problemów Alkoholowych Gminy Ełk na 2004 rok

Uchwała Nr XVI/138/2004 z dnia 26 lutego 2004 r. w sprawie zwolnienia od podatku  od nieruchomości

Uchwała Nr XVI/137/2004 z dnia 26 lutego 2004 r. w sprawie ustalenia nazwy ulicy w części wsi Bartosze Gmina Ełk

Uchwała Nr XVI/136/2004 z dnia 26 lutego 2004 r. w sprawie ustalenia nazwy ulicy w części wsi Chrusciele Gmina Ełk

Uchwała Nr XVI/135/2004 z dnia 26 lutego 2004 r. w sprawie ustalenia nazwy ulicy w części wsi Mrozy Wielkie Gmina Ełk

Uchwała Nr XVI/134/2004 z dnia 26 lutego 2004 r. w sprawie reprezentowania i powierzenia reprezentowania w Zgromadzeniu Związku Międzygminnego "Gospodarka Komunalna" oraz prawa kumulacji głosów.

Uchwała Nr XVI/133/2004 z dnia 26 lutego 2004 r. w sprawie przystąpienia do sporządzenia miejscowego planu zagospodarowania przestrzennego dla terenu położonego we wsi Mrozy Wielkie, Gmina Ełk, obejmującego grunty o nr geod. 13/2, 13/13, 13/5

Uchwała Nr XVI/132/2004 z dnia 26 lutego 2004 r. w sprawie przystąpienia do sporządzenia miejscowego planu zagospodarowania przestrzennego terenu w obrębie wsi Mrozy Wielkie na gruntach oznaczonych numerem geodezyjnym: 48/6

Uchwała Nr XVI/131/2004 z dnia 26 lutego 2004 r. w sprawie przystąpienia do sporządzenia miejscowego planu zagospodarowania przestrzennego terenu w obrębie wsi Chruściele na gruntach o numerach geodezyjnych: kolejno od 105/7 do 105/12

Uchwała Nr XVI/130/2004 z dnia 26 lutego 2004 r. w sprawie - budżet Gminy Ełk na 2004 rok

Uchwała Nr XV/129/2004 z dnia 29 stycznia 2004 r. w sprawie ustalenia nazwy ulicy w części wsi Mrozy Wielkie Gmina Ełk

Uchwała Nr XV/128/2004 z dnia 29 stycznia 2004 r. w sprawie obnizenia wysokości wskaźników procentowych określających wysokość dodatku mieszkaniowego.

Uchwała Nr XV/127/2004 z dnia 29 stycznia 2004 r. zmieniająca Uchwałę Nr VII/44/2003 Rady Gminy Ełk z dnia 29 kwietnia 2003 r. w sprawie gospodarowania nieruchomościami stanowiącymi własność gminy Ełk

Uchwała Nr XV/126/2004 z dnia 29 stycznia 2004 r. w sprawie sprzedaży nieruchomości grontowej

Uchwała Nr XV/125/2004 z dnia 29 stycznia 2004 r. w sprawie sprzedaży nieruchomości gruntowej

Uchwała Nr XV/124/2004 z dnia 29 stycznia 2004 r. w sprawie przystąpienia do sporządzenia zmiany miejscowego planu zagospodarowania przestrzennego części wsi Sajzy, obejmującego grunty o nr geod. 5/1, 6/1, do 6/37, 6/41, 10, 12/1, 12/2, 14 do 17, 18/3 i 18/4.

Uchwała Nr XV/123/2004 z dnia 29 stycznia 2004 r. w sprawie przystąpienia do zmiany w miejscowym planie zagospodarowania przestrzennego w obrębie wsi Chruściele, obejmującym grunty oznaczone nr od 170/24 do 170/28 oraz 170/38

Wytworzył:
Rejestr uchwał prowadzi Teresa Suchocka
Udostępnił:
Klepacki Mariusz
(2004-01-14 11:11:21)
Ostatnio zmodyfikował:
Klepacki Mariusz
(2005-01-25 12:27:55)

       DRUKUJ TĘ STRONĘ Obrazek drukarki    
 
liczba odwiedzin: 730306